Works Detail 取扱物件のご案内
山口県宇部市で不動産売却(仲介売却・買取)を手がける株式会社 不動産コンサルタント「なびっく」が当社取り扱い中の売買物件、賃貸物件などをご案内するページです。こちらでは、各物件の詳細情報を掲載しています。なお、掲載内容は日々更新されています。物件をお探しの方は情報をこまめにチェックしてみてください。
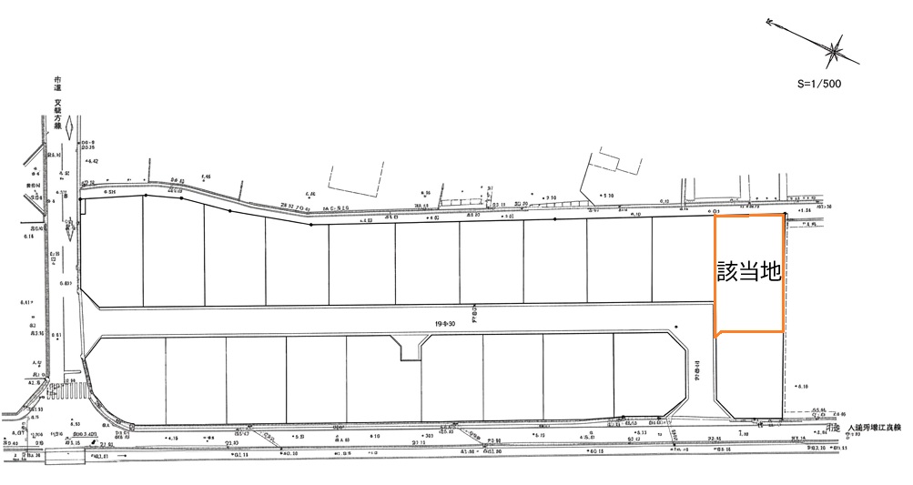
山口市大殿分譲地
| 物件種目 | 売地 | 価格 | 1,400万円 |
|---|---|---|---|
| 所在地 | 山口市柴崎町1844番31 | ||
| 交通(電車) | 『上山口』駅より徒歩約13分 約1.0km | 交通(バス) | 『』バス停より徒歩 分 |
| 小学校区 | 大殿小学校 徒歩約20分 約1.54km | 中学校区 | 大殿中学校 徒歩約26分 約2.07km |
| 土地面積1 | 公簿 | 土地面積2 | 308.44㎡ 93.30坪 |
| 地目 | 宅地 | 土地権利 | 所有権 |
| 地勢 | 平坦 | 角地 | |
| 都市計画 | 用途地域 | 2種住居 | |
| 建ぺい率 | 60% | 容積率 | 200% |
| 他の法令上の制限 | 道路 | 団地内道路(幅員6.0ⅿ):公道/第42条第1項第2号道路 | |
| 借地料 | ―円 | 借地期間 | |
| 権利金 | ―円 | 敷金 / 保証金 | ―円 |
| 維持費等 | 固定資産税日割清算、下水道受益者負担金 | その他一時金 | |
| セットバック | 不要 | 条件等 | |
| 設備 | 電気,上水道,下水道,側溝 | 現況 | 更地 |
| 引渡し | 即時 | 取引様態 | 代理 |
| 備考 | |||



メニューを閉じる







